Hesperotettix speciosus


 Geographic range of  Hesperotettix speciosus  (Scudder)

Geographic range of Hesperotettix speciosus (Scudder)


 Fig. 1, fourth instar

Fig. 1, fourth instar


 Fig. 2, fifth instar

Fig. 2, fifth instar


 Fig. 3, adult male: BL 19-24 mm, FL 11-15 mm, AS 19-22

Fig. 3, adult male: BL 19-24 mm, FL 11-15 mm, AS 19-22


 Fig. 4, adult female: BL 24-34 mm, FL 14-19 mm, AS 21-23

Fig. 4, adult female: BL 24-34 mm, FL 14-19 mm, AS 21-23


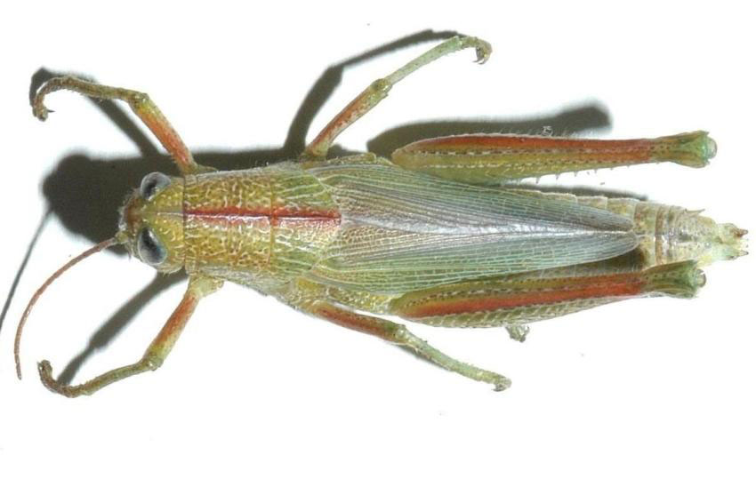
 Fig. 5, dorsal view of western green grasshopper

Fig. 5, dorsal view of western green grasshopper


Species

Western green grasshopper

Hesperotettix speciosus (Scudder)

Subfamily Melanoplinae

Identification

The western green grasshopper is overall greenish in color with purplish red in several distinct areas; in broad line on the middle of the thorax, along the dorsal edge of the outer hind femur, on the antennae, and suffused in the front areas of the tegmina. Orange-red areas occur in a band on the front and middle femur and just below the knee on the hind femur. The green color is interspersed with a network of small, thin whitish markings scattered nearly throughout. The outer hind femur is green with a scattering of fine white markings, purplish red along the dorsal margin, and orange-red just below the knee. The inner hind femur is unmarked green with some orange-red suffusion just below the knee. The hind tibia is bluish over the basal two-thirds, blending into greenish over the distal third.

Distribution and habitat

This colorful grasshopper occurs from Montana, North Dakota, and Wisconsin, to Illinois, Texas, and eastern New Mexico. It can be fairly common on rangeland with light, well-drained soils. In Nebraska, it is consistent in the sandhills, and somewhat less common but present in rangeland on loess soils in the central plains region.

Economic importance

Because of its preference for weedy forbs, it is unlikely to be a pest of rangeland, and might be considered beneficial in its preference for weedy species.

Food preferences

This grasshopper feeds primarily on forbs and only infrequently feeds on grasses. The grasses found in crop analyses were Agropyron smithii and Panicum scribneranum. Known forbs consumed include Ambrosia psilostachya, Helianthus anuus, Iva xanthifolia, Lappula redowski, Psoralea esculenta, Solidago missouriensis, Sphaeralcea coccinea, and curlycup gumweed. It appears to show a preference for sunflower, western ragweed, and goldenrod.

Dispersal and migration

As this grasshopper possesses wings which are usually shorter than the abdomen, it is apparently incapable of flight. Dispersal is likely limited to local areas.

Hatching

This grasshopper is likely in the intermediate hatching group.The life history has not been studied in detail. Egg pods usually contain about 15 eggs, each of which averages 5 mm in length and 1.5 mm in width.

Nymphal development

The nymphal stages have not been studied in detail. It likely requires five instars for adult development.

Adults and reproduction

Adults begin to appear in late July and are most abundant in August and into September.

Population ecology

The population ecology of this grasshopper has not been studied. It is seldom abundant but is apparently consistent in most areas where it occurs. It can become numerous in areas infested with its preferred host plants.

Daily activity

The daily activity of this grasshopper has not been studied.

Source and date

University of Nebraska by Mathew L. Brust March 2007

Selected references

Alexander, G. and J. R. Hilliard, Jr. 1969. Altitudinal and seasonal distribution of Orthoptera in the Rocky Mountains of northern Colorado. Ecological Monographs 39: 385-431.

Blatchley, W. S. 1920. Orthoptera of Northeastern America, with especial reference to the faunas of Indiana and Florida. The Nature Publishing Company, Indianapolis, Indiana. 784 pp.

Capinera, J. L. and T. S. Sechrist. 1982. Grasshoppers (Acrididae) of Colorado: Identification, biology and management. Colorado State University Experiment Station Bulletin No. 5848. 161 pp.

Coppock, S., Jr. 1962. The grasshoppers of Oklahoma (Orthoptera: Acrididae). Oklahoma Agriculture Experiment Station Processed Series P-399: 1-143.

Gillette, C. P. 1904. Annotated list of Colorado Orthoptera. Colorado Agriculture Experiment Station Bulletin 94: 17-67.

Hart, C. A. and H. A. Gleason. 1907. On the biology of the sand areas of Illinois. Bulletin of the Illinois State Laboratory of Natural History 7: 137-272.

Isley, F. B. 1938. The relations of Texas Acrididae to plants and soils. Ecological Monographs 8: 551-604.

Kirk, K. and C. R. Bomar. 2005. Guide to the grasshoppers of Wisconsin. Bureau of Integrated Science Services, Wisconsin Department of Natural Resources. 154 pp.

Mulkern, G. B., K. P. Pruess, H. Knutson, A. F. Hagen, J. B. Campbell, and J. D. Lambley. 1969. Food habits and preferences of grassland grasshoppers of the north central Great Plains. North Dakota State University Agricultural Experiment Station, North Central Regional Publication no. 196. 32 pp.