Phlibostroma quadrimaculatum


 Geographic range of  Phlibostroma quadrimaculatum  (Thomas)

Geographic range of Phlibostroma quadrimaculatum (Thomas)


  Fig. 1, First Instar:  BL 4.8-6.2 mm FL 3-3.2 mm AS 12-13.

Fig. 1, First Instar: BL 4.8-6.2 mm FL 3-3.2 mm AS 12-13.

  Fig. 2, Second Instar:  BL 6.8-7.5 mm FL 4-4.4 mm AS 15-16.

Fig. 2, Second Instar: BL 6.8-7.5 mm FL 4-4.4 mm AS 15-16.

  Fig. 3, Third Instar:  Females: BL 8-9.1 mm FL 5.2-5.4 mm AS     18-19.

Fig. 3, Third Instar: Females: BL 8-9.1 mm FL 5.2-5.4 mm AS 18-19.


  Fig. 4, Fourth Instar:  Females: BL 10.7-12 mm FL 7-7.6 mm AS 21-22.

Fig. 4, Fourth Instar: Females: BL 10.7-12 mm FL 7-7.6 mm AS 21-22.


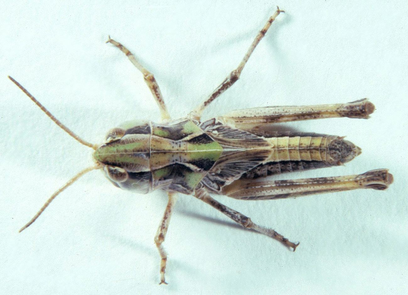
  Fig. 5, Fifth Instar:  Females: BL 14.5-18.5 mm FL 9.3-10.2 mm AS 23.

Fig. 5, Fifth Instar: Females: BL 14.5-18.5 mm FL 9.3-10.2 mm AS 23.


  Fig. 6,   Adult Male:  BL 14.5-15 mm FL 9.3-9.9 mm AS 22-24.

Fig. 6, Adult Male: BL 14.5-15 mm FL 9.3-9.9 mm AS 22-24.


  Fig. 7, Adult Female:  BL 18.5-21.5 mm FL 11-13 mm AS     23-24.

Fig. 7, Adult Female: BL 18.5-21.5 mm FL 11-13 mm AS 23-24.


  Fig. 8,  Dorsal view of fifth instar   female.

Fig. 8, Dorsal view of fifth instar female.


  Fig. 9,  Spread left wings of female.

Fig. 9, Spread left wings of female.


  Fig. 10,  Egg pod and group of exposed   eggs.

Fig. 10, Egg pod and group of exposed eggs.


Species

Fourspotted grasshopper

Phlibostroma quadrimaculatum (Thomas)

Subfamily Gomphocerinae

Identification

Adults of the fourspotted grasshopper are medium sized and strikingly colored (Fig. 6 and 7). Lateral foveolae are invisible from above. Side of head has a vertical ivory stripe below compound eye. Four diagnostic marks are on the median area of tegmen (Fig. 9). The hind femur has medial area crossed by three dark oblique bands. Hind tibiae are orange. The pronotal disk has the median carina cut once near the middle; the lateral carinae are distinct and constricted in the central region.

The nymphs are identifiable by their shape, external structures, color, and color patterns (Fig. 1-5).

  1. Head is relatively large, face moderately slanting; antennae filiform. Instar I with dark brown vertical stripe below compound eye and with dark brown horizontal band behind compound eye that extends onto lateral lobe of pronotum, background color of head ivory. Postgena of head and anteroventral region of lateral lobe colored dark brown forming a vertical band that runs nearly parallel with the dark vertical band below compound eye. Instars II to V background color of head mainly green, dark brown band below compound eye becomes faded and broken; a vertical ivory band below compound eye is evident.
  2. Pronotum with lateral carinae ivory-colored and constricted in central region (Fig. 8), constriction increases as nymphs molt from one instar to the next. Pronotal lobe with diagonal ivory ridge on anterior central region.
  3. Hind femur with medial area almost entirely fuscous in instars I to III, partly green in instar IV and V. Hind tibia tan and gray or pink in late instars.
  4. General color pattern of instar I ivory with fuscous band extending from behind compound eye to end of abdomen; instars II to V green or occasionally tan, the fuscous band entire on side of head and abdomen, broken on lobe of pronotum.

Distribution and habitat

The fourspotted grasshopper has a wide distribution in western grasslands. It inhabits the shortgrass, mixedgrass, desert, and bunchgrass prairies. It prefers to feed on blue grama and is commonly found where this and other shortgrasses are the dominant vegetation. In the mixedgrass prairie where mid grasses and short grasses grow in mosaic patches, the fourspotted grasshopper occupies the patches of short grass. It has been recorded infrequently from the tallgrass prairie but with no description of the specific habitat in which it occurs.

Economic importance

The fourspotted grasshopper lives in assemblages of grasshoppers inhabiting mixedgrass, shortgrass, and desert prairies of the West. It is usually a subdominant member of the assemblages, but it occasionally becomes the dominant species. Because it feeds principally on blue grama, a preferred forage plant of livestock, it can become a serious pest during grasshopper outbreaks. Estimates based on body weight indicate that an individual of this species ingests 1.4 gm of grass dry weight during its lifetime, an amount less than that eaten by the bigheaded grasshopper, Aulocara elliotti (2.0 gm). The fourspotted grasshopper is a thrifty feeder, cutting down little if any grass. It does much less clipping of forage than the bigheaded grasshopper. Because it does not increase to the high densities reached by the latter species, it is not as serious a pest.

The fourspotted grasshopper is a medium-sized rangeland species. Average live weights of males from the mixedgrass prairie of eastern Wyoming average 110 mg; females are much larger weighing an average 300 mg (dry weight: males 35 mg, females 90 mg).

Food preferences

The fourspotted grasshopper feeds almost exclusively on grasses. Blue grama and buffalograss are its preferred food plants, but other species of grasses and sedges are ingested, usually in small amounts. Examinations of nymphal and adult crop contents show that blue grama makes up 89 to 100 percent of the diet. Six other species of grasses (buffalograss, needleandthread, western wheatgrass, sand dropseed, sideoats grama, and prairie sandreed) have been found in crop contents. In a desert prairie of Texas, crop contents consisted of 48 percent buffalograss, 21 percent blue grama, 19 percent burrograss, 5 percent fall witchgrass, 5 percent Muhlenbergia sp., and 2 percent of an undetermined grass. When given a choice of blue grama and western wheatgrass, caged adults ate only the blue grama.

Individual grasshoppers in the field, however, may contain a substantial amount of other grasses. For example, one female inhabiting the shortgrass prairie of Colorado had 40 percent western wheatgrass in its crop contents while another had 43 percent buffalograss. In addition to grasses, a few grasshopper crops have been found to contain small amounts of two sedges (needleleaf sedge and threadleaf sedge) and five species of forbs (prairie onion, fringed sagebrush, hairy goldaster, spreading fleabane, and scarlet globemallow).

The fourspotted grasshopper selects green leaves for its food. This species has not been observed to feed on dry plant litter in its natural habitat. Tests of caged grasshoppers indicated that only 6 percent of the insects had fed on bran bait.

Several observations of the feeding of this grasshopper in the mixedgrass prairie of eastern Wyoming indicate that it attacks grass in two chief ways. A grasshopper may climb up a green leaf of blue grama, turn around and feed about 1 inch from the tip, and proceed toward the base, ingesting the whole width and hanging onto adjacent leaves. The end pieces are cut off and fall. The second method is for a grasshopper sitting in a horizontal or diagonal position on the plant to begin feeding on the end of a leaf and progress toward the base.

Dispersal and migration

The fourspotted grasshopper possesses functional wings, which range in length from being just short of the end of the abdomen to extending beyond the abdomen by as much as 5 mm. Specimens with longer wings occur commonly in the southern range of the species, as in Texas. Evasive flight is straight, silent, and extends for distances of 2.5 to 5 feet at heights of about 6 inches. The flying grasshopper usually lands on bare ground and faces away from the intruder.

Little is known about its dispersal and migration. Where the bigheaded grasshopper, A. elliotti, has often appeared as accidentals in the mountains west of Boulder, Colorado, no fourspotted grasshopper has ever been found there. However, evidence that the species occasionally disperses comes from a mixedgrass prairie of eastern Wyoming in which this grasshopper occurred at a density of 7 nymphs per square yard. An area of 840 acres was sprayed in 1970 with an insecticide resulting in the virtual elimination of this species. Not until 1973 was the species found again when one female was encountered in 100 square-foot samples. The following year two nymphs were found in 100 square-foot samples. The population evidently gained a new foothold in the area from dispersing adults and began once more to increase.

Hatching

The fourspotted grasshopper begins to hatch 15 to 25 days after the bigheaded grasshopper, A. elliotti, placing it in the intermediate hatching group. Hatching continues for two to three weeks. In the mixedgrass prairie of eastern Wyoming and shortgrass prairie of eastern Colorado hatching usually occurs during the first two weeks of June. Depending on the weather, actual dates of hatching in a site may differ by as much as 15 days between years.

Nymphal development

Nymphs on the mixedgrass prairie of eastern Wyoming develop slowly, taking an average of 48 days to become adults. At some sites and in certain years the nymphal period may be as short as 33 days or as long as 55 days. There are five nymphal instars in females and usually four, but occasionally five, in males.

Adults and reproduction

Adults of the fourspotted grasshopper remain in the same habitat in which the nymphs hatched and developed. The preferred host plant, blue grama, remains green and palatable through the summer and fall, even during most dry years. In the mixedgrass prairie of eastern Wyoming and shortgrass prairie of eastern Colorado, the adults appear during the latter part of July. Two weeks later, males begin to attempt copulation with the females. The males are attracted to moving females and may chase after them. Females that stop are courted by males, which tip their hind femora and stridulate. After closing in, the males mount and attempt to engage their genitalia with those of the females. Females may reject mounted males by producing vibratory stridulation or by shaking the hind femora in a vertical position. The initiation of successful copulation has not been observed, but copulating pairs have been seen in the morning between 9:45 and 11:45 MDT in late August and early September.

In western South Dakota, females have been observed to oviposit into soil next to buffalograss at maximum depths of 1 inch. The eggs are laid in clutches of 6 to 14 eggs and are contained in a tough pod seven-eighths to one inch long (Fig. 10). The eggs are tan and 4.8 to 5.2 mm long. The eggs pass the winter in the soil, but no study has been made of their embryology. The species has one generation annually.

Population ecology

The fourspotted grasshopper is a common grasshopper, enjoying a relatively high frequency of occurrence in the mixedgrass and shortgrass prairies. Of 419 sites surveyed in 1991 in the mixedgrass prairie of eastern Wyoming, this species was encountered in 94 locations (22 percent). It occurred mainly as a subdominant in rangeland assemblages of grasshoppers, but in five of the 94 sites it was the dominant species. A study of the grasshopper fauna in the mixedgrass prairie of Montana in 1953 and 1954 disclosed the presence of the fourspotted grasshopper in 16 of 38 sites (42 percent) and dominance in two locations.

Densities of fourspotted grasshoppers, when subdominant in grasshopper assemblages, usually range from 0.2 to 1.5 young adults per square yard. When the species is dominant, densities may be as great as five per square yard. No information is available on how rapidly and under what conditions populations of this grasshopper rise to high densities and dominance.

In a population inhabiting the mixedgrass prairie of eastern Wyoming, the fourspotted grasshopper persisted for at least eight years at fluctuating, low densities. Densities of this species and the entire assemblage are shown for five years in Table 1.

Table 1. Densities of late nymphs and adults of Phlibostroma quadrimaculatum in an assemblage of grasshoppers inhabiting a mixedgrass prairie site in eastern Wyoming (Platte County T28N R66W Sec 34 NE).
Number per square yard
1968 1969 1970 1971 1972
P. quadrimaculatum 1.4 1.0 0.5 0.6 0.6
Assemblage of 19 species 12.8 6.1 2.9 5.6 4.0

A potentially significant mortality factor of fourspotted grasshoppers is parasitism by dipterous larvae. In populations of this species on the shortgrass prairie of northcentral Colorado, 12 percent of adults have been found to be parasitized by flesh fly larvae. Of these larvae, 64 percent were killed by the host and melanized, thereby reducing the negative impact of the parasite on population growth of the host.

Daily activity

The fourspotted grasshopper is a ground-dwelling insect. At night both nymphs and adults sit horizontally on small areas (1 to 8 square inches) of bare ground or litter that are surrounded by blue grama and threadleaf or needleleaf sedge. They may also rest under a canopy of mid grasses. One to two hours after sunrise, they begin to bask horizontally on the ground by exposing a side perpendicular to the sun's rays. They usually enhance exposure of the abdomen by lowering the associated hindleg, which is held flexed and parallel with the abdomen. Basking lasts for one or two hours. When temperatures of the soil and air have risen above 70°F, the grasshoppers gradually become active and begin to potter, feed, and mate. They continue these activities until temperatures become too hot. When soil surface temperature reaches 100°F, grasshoppers horizontally positioned on bare ground assume a stilt posture in which they raise their bodies as high as their legs will extend. When temperatures rise still further (120°F soil surface), they take positions 1/2 to 4 inches above ground level on blue grama plants and face the sun. In this orientation they have moved away from the hot bare ground and expose a minimum of body surface to the sun's rays; they may also spread apart the hindlegs to increase cooling. Two hours before sunset the grasshoppers again bask. After basking and before sunset they move to their nighttime positions.

Source and date

Wyoming Agricultural Experiment Station Bulletin 912 September 1994 by Robert E. Pfadt

Selected references

Alexander, G. and J. R. Hilliard, Jr. 1969. Altitudinal and seasonal distribution of Orthoptera in the Rocky Mountains of Northern Colorado. Ecol. Monogr. 39: 385-431.

Anderson, N. L. 1973. The vegetation of rangeland sites associated with some grasshopper studies in Montana. Montana Agr. Exp. Stn. Bull. 668.

Hewitt, G. B. and J. A. Onsager. 1982. A method for forecasting potential losses from grasshopper feeding on northern mixed prairie forages. J. Range Management 35: 53-57.

Larsen, J. C., J. A. Hutchason, and T. McNary. 1988. The Wyoming Grasshopper Information System. Cooperative Agricultural Pest Survey, University of Wyoming, Laramie.

Mulkern, G. B., K. P. Pruess, H. Knutson, A. F. Hagen, J. B. Campbell, and J. D. Lambley. 1969. Food habits and preferences of grassland grasshoppers of the North Central Great Plains. North Dakota Agr. Exp. Stn. Bull. 481.

Otte, D. 1970. A comparative study of communicative behavior in grasshoppers. Univ. Michigan Mus. Zool. Misc. Publ. 141.

Pfadt, R. E. and R. J. Lavigne. 1982. Food habits of grasshoppers inhabiting the Pawnee site. Wyoming Agr. Exp. Stn. Sci. Monogr. 42.

Pooler, P. D. 1989. Factors influencing grasshopper oviposition site selection on South Dakota rangelands. M.S. thesis, South Dakota State University, Brookings, SD.

Przybyszewski, J. and J. L. Capinera. 1991. Patterns of parasitism among shortgrass prairie grasshopper (Orthoptera: Acrididae) populations. J. Kansas Entomol. Soc. 64: 5-17.